Перегляд одного допису
Старий 28.09.2015, 11:53   #56 (permalink)
pol2901
Активный участник
 
Аватар для pol2901
 
Псевдо: Евгений
Звідки Ви: Кременчуг
Карапь: Динго 330
Дописи: 109
Сказал(а) спасибо: 33
Поблагодарили 216 раз(а) в 37 сообщениях
Типово Re: Эхолоты нового поколения Raymarine Dragonfly™

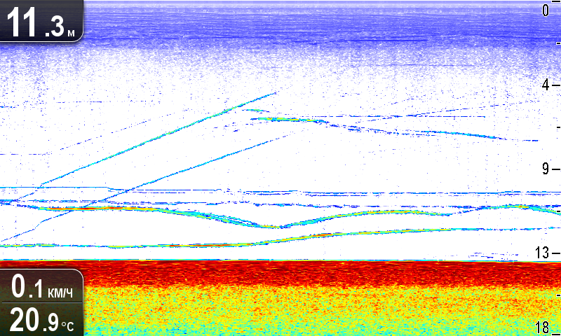
Как и обещал, скрины с эхолота.
Вчера состоялся первый, пробный выезд. Что сказать, эхолоты имею уже давно, поэтому разобрался сразу, да и разбираться там особо нечего, все легко и просто. От эхолота пока одни положительный впечатления. Никаких глюков (окромя провалов в картинке) при резком изменении глубины я не заметил. Но как по мне это не критично, и все прорисовывается обратно уже через 2-5 секунд. Картинка четкая как на телевизоре, все понятно до мелочей. Где камень, где корчик, где трава, где рыба...
Пробовал с ним квочить около полу часа. Сомов видно идеально, видно и снасть с наживкой, сом оказался весьма капризным, поднимались по несколько штук сразу, крутились над наживкой, но никто не соблазнился.
В общем кто еще думает, брать стрекозу или нет?! БЕРИТЕ, не пожалеете.

Несколько фото, которые сохранил на SD- карту во время рыбалки.
Мініатюри долучень
Щоб збільшити малюнок, клацніть по ньому
Назва:  Dump001.png
Переглядів: 1318
Розмір:  209,2 КБ
ID:	100730   Щоб збільшити малюнок, клацніть по ньому
Назва:  Dump002.png
Переглядів: 1183
Розмір:  167,1 КБ
ID:	100731   Щоб збільшити малюнок, клацніть по ньому
Назва:  Dump003.png
Переглядів: 1187
Розмір:  226,1 КБ
ID:	100732   Щоб збільшити малюнок, клацніть по ньому
Назва:  Dump004.png
Переглядів: 1120
Розмір:  249,8 КБ
ID:	100733   Щоб збільшити малюнок, клацніть по ньому
Назва:  Dump005.png
Переглядів: 1117
Розмір:  183,3 КБ
ID:	100734   Щоб збільшити малюнок, клацніть по ньому
Назва:  Dump006.png
Переглядів: 1084
Розмір:  181,1 КБ
ID:	100735   Щоб збільшити малюнок, клацніть по ньому
Назва:  Dump007.png
Переглядів: 1075
Розмір:  219,0 КБ
ID:	100736   Щоб збільшити малюнок, клацніть по ньому
Назва:  Dump008.png
Переглядів: 1057
Розмір:  212,5 КБ
ID:	100737  

Щоб збільшити малюнок, клацніть по ньому
Назва:  Dump009.png
Переглядів: 1110
Розмір:  254,0 КБ
ID:	100738   Щоб збільшити малюнок, клацніть по ньому
Назва:  Dump010.png
Переглядів: 1073
Розмір:  258,8 КБ
ID:	100739   Щоб збільшити малюнок, клацніть по ньому
Назва:  Dump011.png
Переглядів: 1093
Розмір:  291,4 КБ
ID:	100740   Щоб збільшити малюнок, клацніть по ньому
Назва:  Dump012.png
Переглядів: 1037
Розмір:  273,6 КБ
ID:	100741   Щоб збільшити малюнок, клацніть по ньому
Назва:  Dump013.png
Переглядів: 1026
Розмір:  282,3 КБ
ID:	100742   Щоб збільшити малюнок, клацніть по ньому
Назва:  Dump014.png
Переглядів: 1114
Розмір:  303,0 КБ
ID:	100743   Щоб збільшити малюнок, клацніть по ньому
Назва:  Dump015.png
Переглядів: 1081
Розмір:  235,4 КБ
ID:	100744   Щоб збільшити малюнок, клацніть по ньому
Назва:  Dump016.png
Переглядів: 1102
Розмір:  114,5 КБ
ID:	100745  

Щоб збільшити малюнок, клацніть по ньому
Назва:  Dump017.png
Переглядів: 1017
Розмір:  192,2 КБ
ID:	100746   Щоб збільшити малюнок, клацніть по ньому
Назва:  Dump018.png
Переглядів: 1050
Розмір:  134,3 КБ
ID:	100747  
pol2901 зараз поза форумом   Відповісти з цитуванням
16 пользователя(ей) сказали cпасибо:
4umebli (28.09.2015), Andrey 09 (28.09.2015), Gonivo (28.09.2015), Lexa (03.10.2015), marcus63 (27.07.2018), oleglena (28.09.2015), P_Petrovich (28.09.2015), Sergii79 (28.09.2015), silver36 (28.09.2015), Zhuzhik (28.09.2015), Бодя (29.09.2015), Иванович 1962 (28.09.2015), Пух (28.09.2015), Роман 37 (29.09.2015), СКВ (19.05.2017), Шурави (31.01.2016)