Форум водно-моторного Клуба Фрегат

Назад   Форум водно-моторного Клуба Фрегат > Водномоторная тематика > Электрика и электроника > Эхолоты

Відповідь
 
LinkBack Параметри теми Параметри перегляду
Старий 25.12.2013, 11:54   #41 (permalink)
Новичок
 
Псевдо: Sergey
Звідки Ви: Kiev
Карапь: Hanse320
Дописи: 17
Сказал(а) спасибо: 0
Поблагодарили 7 раз(а) в 5 сообщениях
Типово Re: Эхолоты нового поколения Raymarine Dragonfly™

Цитата:
Допис від igorkiev Переглянути допис
Блестящая передняя поверхность будет бликовать, наверное, в солнечный день Да и на вкус и цвет - потребитель проголосует своим кошельком....
У лорика вид более серьезного прибора...

А по-поводу именитости фирмы - так это вообще не показатель, говно бывает и у известных брендов

Я выбрал HDI-7

в яркий солнечный день экран будет отменно просматриваться, даже под большим углом. Если солнце слепит ваши глаза, пожалуйста, можно одеть поляризованные очки и наслаждаться изображением экрана в очках. Ведь прибор то серьезный, продуман до мелочей.
Sergey777 зараз поза форумом   Відповісти з цитуванням
Старий 26.12.2013, 09:10   #42 (permalink)
Участник
 
Псевдо: Юрий
Звідки Ви: Ивано-Франковск
Карапь: колибри
Дописи: 65
Сказал(а) спасибо: 1
Поблагодарили 13 раз(а) в 8 сообщениях
Типово Re: Эхолоты нового поколения Raymarine Dragonfly™

Я на экран своего elite 5 dsi наклеил специальную пленку,блики пропали,так,что это не проблема.
mert1234 зараз поза форумом   Відповісти з цитуванням
Старий 26.12.2013, 10:52   #43 (permalink)
Клубень
 
Аватар для oleglena
 
Псевдо: Олег
Звідки Ви: Киев
Карапь: FurSeal
Дописи: 16.743
Сказал(а) спасибо: 12.969
Поблагодарили 5.492 раз(а) в 1.933 сообщениях
Типово Re: Эхолоты нового поколения Raymarine Dragonfly™

Цитата:
Допис від mert1234 Переглянути допис
Я на экран своего elite 5 dsi наклеил специальную пленку,блики пропали,так,что это не проблема.

А у меня не бликует. Добавил яркости и картинка просто бомба. Очень доволен.
oleglena зараз поза форумом   Відповісти з цитуванням
Старий 26.12.2013, 11:12   #44 (permalink)
Активный участник
 
Аватар для vital-777
 
Псевдо: виталий
Звідки Ви: киев,
Карапь: крым+merkury40elpto
Дописи: 4.036
Сказал(а) спасибо: 758
Поблагодарили 2.170 раз(а) в 1.082 сообщениях
Типово Re: Эхолоты нового поколения Raymarine Dragonfly™

Цитата:
Допис від oleglena Переглянути допис
А у меня не бликует. Добавил яркости и картинка просто бомба. Очень доволен.

Наверное контрастности? если так:- это не желательно, контрастность должна быть до 50 %
__________________
100 грамм хорошо, а 200 мало...
vital-777 зараз поза форумом   Відповісти з цитуванням
Старий 31.07.2014, 19:47   #45 (permalink)
Новичок
 
Псевдо: Владимир
Звідки Ви: Питер
Карапь: сильвер фокс
Дописи: 3
Сказал(а) спасибо: 0
Поблагодарили 0 раз(а) в 0 сообщениях
Типово Re: Эхолоты нового поколения Raymarine Dragonfly™

Парни что то в этом есть...продвинутые спортсмены ставят раймарины для "посмотреть под лодкой".....Форум spinkat.ru • Просмотр темы - Интересные дивайсы и гаджеты для рыболовных катеров. а
структурники идут для бокового обзора...Новые модели вообще интересны...А78 и 9-ки
a Series MFDs | Chartplotter, Sonar, Wi-Fi and more из "а" серии.....Совсем не уверен что всем нужны структурники, и мне в том числе...
Аксвлади зараз поза форумом   Відповісти з цитуванням
Старий 16.05.2015, 06:42   #46 (permalink)
Активный участник
 
Аватар для VladHNet
 
Псевдо: Вадим
Звідки Ви: Днепропетровск
Карапь: ласты :)
Дописи: 537
Сказал(а) спасибо: 156
Поблагодарили 41 раз(а) в 32 сообщениях
Типово Re: Эхолоты нового поколения Raymarine Dragonfly™

а что тема заглохла? Кто wi-fi модельку юзает, отзовитесь, какие впечатления?
Может кто из Днепра имеет это чудо и пригласит потрогать руками?
VladHNet зараз поза форумом   Відповісти з цитуванням
Старий 24.07.2015, 10:15   #47 (permalink)
Активный участник
 
Аватар для 4umebli
 
Псевдо: Игорь
Звідки Ви: Киев: Лесной-дом, Виноградарь-робота, Стайки-отдых.
Карапь: Крым, Suzuki DF50
Дописи: 770
Сказал(а) спасибо: 246
Поблагодарили 1.564 раз(а) в 287 сообщениях
Типово Re: Эхолоты нового поколения Raymarine Dragonfly™

Я уже установил, но еще не юзал, постараюсь на этих выходных вырваться
4umebli зараз поза форумом   Відповісти з цитуванням
Старий 18.09.2015, 15:49   #48 (permalink)
Активный участник
 
Аватар для pol2901
 
Псевдо: Евгений
Звідки Ви: Кременчуг
Карапь: Динго 330
Дописи: 109
Сказал(а) спасибо: 33
Поблагодарили 216 раз(а) в 37 сообщениях
Типово Re: Эхолоты нового поколения Raymarine Dragonfly™

Парни подскажите что лучше взять. Какие за и против?!
Выбор между Raymarine Dragonfly 7 и Lowrance Elite-7 CHIRP
pol2901 зараз поза форумом   Відповісти з цитуванням
Старий 18.09.2015, 19:06   #49 (permalink)
Забанен
 
Псевдо: Сергей
Звідки Ви: hi-techboat.pro
Карапь: Finval 555
Дописи: 3.763
Сказал(а) спасибо: 1.594
Поблагодарили 9.487 раз(а) в 1.544 сообщениях
Типово Re: Эхолоты нового поколения Raymarine Dragonfly™

Качество серии Dragonfly очень сильно упало, много нареканий.
serk 12 зараз поза форумом   Відповісти з цитуванням
Пользователь сказал cпасибо:
pol2901 (19.09.2015)
Старий 24.09.2015, 08:13   #50 (permalink)
Активный участник
 
Псевдо: Дмитрий
Звідки Ви: Одесса
Карапь: тунец.
Дописи: 556
Сказал(а) спасибо: 184
Поблагодарили 630 раз(а) в 186 сообщениях
Типово Re: Эхолоты нового поколения Raymarine Dragonfly™

Цитата:
Допис від VladHNet Переглянути допис
а что тема заглохла? Кто wi-fi модельку юзает, отзовитесь, какие впечатления?
Может кто из Днепра имеет это чудо и пригласит потрогать руками?

Работаю с гармином 527,если без рекламы , как навигатор просто супер, как эхолот обычная посредственность.
О раймарине узнал по факту, когда стало интересовать, чем работают люди те, что чаще, стабильней других находят рыбу.
С начала открытия этой темы пошел третий год,уже можно смело сказать.
Люди работающие на промышленном промысле с раймарином находят рыбу на много чаще тех кто работает с другими раскрученными брендами.
Да дизайн не фонтан, но результату , простоте работы, эти приборы даже сравнивать не хочется с другими.
Не однократно был свидетелем, как проходили по косякам несколько судов с лоренсами, шли дальше,а с раймаринами находили.
Меня тоже отталкивает дизайн раймарина , а результат работы очень сильно притягивает.
Дмитрий Лупашко зараз поза форумом   Відповісти з цитуванням
Пользователь сказал cпасибо:
Alexribalka (29.09.2015)
Старий 24.09.2015, 10:10   #51 (permalink)
Активный участник
 
Аватар для pol2901
 
Псевдо: Евгений
Звідки Ви: Кременчуг
Карапь: Динго 330
Дописи: 109
Сказал(а) спасибо: 33
Поблагодарили 216 раз(а) в 37 сообщениях
Типово Re: Эхолоты нового поколения Raymarine Dragonfly™

Взвесив все за и против, таки купил Raymarine Dragonfly 7.
Выберусь на воду, сделаю скрины, выложу.
pol2901 зараз поза форумом   Відповісти з цитуванням
Пользователь сказал cпасибо:
Zhuzhik (24.09.2015)
Старий 24.09.2015, 13:18   #52 (permalink)
Активный участник
 
Аватар для 4umebli
 
Псевдо: Игорь
Звідки Ви: Киев: Лесной-дом, Виноградарь-робота, Стайки-отдых.
Карапь: Крым, Suzuki DF50
Дописи: 770
Сказал(а) спасибо: 246
Поблагодарили 1.564 раз(а) в 287 сообщениях
Типово Re: Эхолоты нового поколения Raymarine Dragonfly™

У меня четверка, но подключил по wi-fi к планшету и теперь десятка. По пользованию есть глюки в виде показывания глубины в цифрах от верхушек водорослей или от грузила если квочу. По шкале показывает верно.
4umebli зараз поза форумом   Відповісти з цитуванням
Пользователь сказал cпасибо:
pol2901 (24.09.2015)
Старий 24.09.2015, 13:55   #53 (permalink)
Активный участник
 
Аватар для pol2901
 
Псевдо: Евгений
Звідки Ви: Кременчуг
Карапь: Динго 330
Дописи: 109
Сказал(а) спасибо: 33
Поблагодарили 216 раз(а) в 37 сообщениях
Типово Re: Эхолоты нового поколения Raymarine Dragonfly™

Цитата:
Допис від 4umebli Переглянути допис
У меня четверка, но подключил по wi-fi к планшету и теперь десятка. По пользованию есть глюки в виде показывания глубины в цифрах от верхушек водорослей или от грузила если квочу. По шкале показывает верно.


У меня у товарища Raymarine Dragonfly-6. Судака показывает отменно, все бугорки, коряжки, на дне. Даже траву прорисовывает. Так четко, что даже не мог представить, что такое вообще бывает. Квочил с 6-кой 1 раз. Все отлично видно и наживку и грузило, подъемы так вообще. Сома прорисовывает даже хвост видно.
Бывало пару раз отбивало глубину от грузила, но это мне не в напряг, дно и общую глубину все равно показывает.
Я не настолько придирчивый.
Еще все ругаются, что провалы в изображении при резких свалах и выходах на глубину. Да наблюдал несколько раз, но это такая мелочь и лечится, выставлением глубины в настройках, то есть убрать АВТО определение глубины.
В общем покупкой доволен, будем изучать на воде.
pol2901 зараз поза форумом   Відповісти з цитуванням
Старий 24.09.2015, 14:14   #54 (permalink)
Клубень
 
Аватар для Andrey 09
 
Псевдо: Андрей
Звідки Ви: Киев
Карапь: П-4 МС-40
Дописи: 9.646
Сказал(а) спасибо: 4.465
Поблагодарили 5.554 раз(а) в 1.931 сообщениях
Типово Re: Эхолоты нового поколения Raymarine Dragonfly™

Так а где такой эхолот можно в руках покрутить и о цене узнать?
__________________
_______________________________________________
Паранойя - это не только болезнь, но и возможность прожить долгую, счастливую жизнь!
Andrey 09 зараз поза форумом   Відповісти з цитуванням
Старий 24.09.2015, 16:48   #55 (permalink)
Активный участник
 
Аватар для pol2901
 
Псевдо: Евгений
Звідки Ви: Кременчуг
Карапь: Динго 330
Дописи: 109
Сказал(а) спасибо: 33
Поблагодарили 216 раз(а) в 37 сообщениях
Типово Re: Эхолоты нового поколения Raymarine Dragonfly™

Цитата:
Допис від Andrey 09 Переглянути допис
Так а где такой эхолот можно в руках покрутить и о цене узнать?

Интерент магазины ними кишат. Там и цены есть. Оф. представитель Эхолоты Но брал не у них, а через OLX, на треть дешевле.
pol2901 зараз поза форумом   Відповісти з цитуванням
2 пользователя(ей) сказали cпасибо:
Andrey 09 (24.09.2015), marcus63 (27.07.2018)
Старий 28.09.2015, 11:53   #56 (permalink)
Активный участник
 
Аватар для pol2901
 
Псевдо: Евгений
Звідки Ви: Кременчуг
Карапь: Динго 330
Дописи: 109
Сказал(а) спасибо: 33
Поблагодарили 216 раз(а) в 37 сообщениях
Типово Re: Эхолоты нового поколения Raymarine Dragonfly™

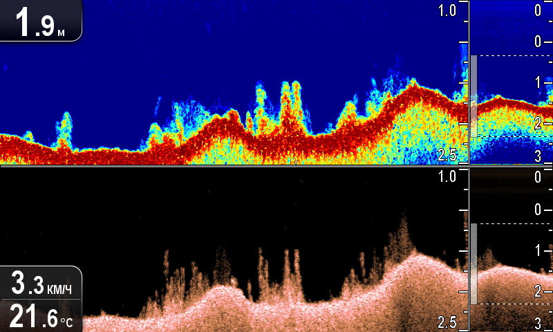
Как и обещал, скрины с эхолота.
Вчера состоялся первый, пробный выезд. Что сказать, эхолоты имею уже давно, поэтому разобрался сразу, да и разбираться там особо нечего, все легко и просто. От эхолота пока одни положительный впечатления. Никаких глюков (окромя провалов в картинке) при резком изменении глубины я не заметил. Но как по мне это не критично, и все прорисовывается обратно уже через 2-5 секунд. Картинка четкая как на телевизоре, все понятно до мелочей. Где камень, где корчик, где трава, где рыба...
Пробовал с ним квочить около полу часа. Сомов видно идеально, видно и снасть с наживкой, сом оказался весьма капризным, поднимались по несколько штук сразу, крутились над наживкой, но никто не соблазнился.
В общем кто еще думает, брать стрекозу или нет?! БЕРИТЕ, не пожалеете.

Несколько фото, которые сохранил на SD- карту во время рыбалки.
Мініатюри долучень
Щоб збільшити малюнок, клацніть по ньому
Назва:  Dump001.png
Переглядів: 1318
Розмір:  209,2 КБ
ID:	100730   Щоб збільшити малюнок, клацніть по ньому
Назва:  Dump002.png
Переглядів: 1182
Розмір:  167,1 КБ
ID:	100731   Щоб збільшити малюнок, клацніть по ньому
Назва:  Dump003.png
Переглядів: 1187
Розмір:  226,1 КБ
ID:	100732   Щоб збільшити малюнок, клацніть по ньому
Назва:  Dump004.png
Переглядів: 1119
Розмір:  249,8 КБ
ID:	100733   Щоб збільшити малюнок, клацніть по ньому
Назва:  Dump005.png
Переглядів: 1116
Розмір:  183,3 КБ
ID:	100734   Щоб збільшити малюнок, клацніть по ньому
Назва:  Dump006.png
Переглядів: 1084
Розмір:  181,1 КБ
ID:	100735   Щоб збільшити малюнок, клацніть по ньому
Назва:  Dump007.png
Переглядів: 1074
Розмір:  219,0 КБ
ID:	100736   Щоб збільшити малюнок, клацніть по ньому
Назва:  Dump008.png
Переглядів: 1056
Розмір:  212,5 КБ
ID:	100737  

Щоб збільшити малюнок, клацніть по ньому
Назва:  Dump009.png
Переглядів: 1109
Розмір:  254,0 КБ
ID:	100738   Щоб збільшити малюнок, клацніть по ньому
Назва:  Dump010.png
Переглядів: 1073
Розмір:  258,8 КБ
ID:	100739   Щоб збільшити малюнок, клацніть по ньому
Назва:  Dump011.png
Переглядів: 1093
Розмір:  291,4 КБ
ID:	100740   Щоб збільшити малюнок, клацніть по ньому
Назва:  Dump012.png
Переглядів: 1037
Розмір:  273,6 КБ
ID:	100741   Щоб збільшити малюнок, клацніть по ньому
Назва:  Dump013.png
Переглядів: 1026
Розмір:  282,3 КБ
ID:	100742   Щоб збільшити малюнок, клацніть по ньому
Назва:  Dump014.png
Переглядів: 1114
Розмір:  303,0 КБ
ID:	100743   Щоб збільшити малюнок, клацніть по ньому
Назва:  Dump015.png
Переглядів: 1081
Розмір:  235,4 КБ
ID:	100744   Щоб збільшити малюнок, клацніть по ньому
Назва:  Dump016.png
Переглядів: 1102
Розмір:  114,5 КБ
ID:	100745  

Щоб збільшити малюнок, клацніть по ньому
Назва:  Dump017.png
Переглядів: 1017
Розмір:  192,2 КБ
ID:	100746   Щоб збільшити малюнок, клацніть по ньому
Назва:  Dump018.png
Переглядів: 1050
Розмір:  134,3 КБ
ID:	100747  
pol2901 зараз поза форумом   Відповісти з цитуванням
16 пользователя(ей) сказали cпасибо:
4umebli (28.09.2015), Andrey 09 (28.09.2015), Gonivo (28.09.2015), Lexa (03.10.2015), marcus63 (27.07.2018), oleglena (28.09.2015), P_Petrovich (28.09.2015), Sergii79 (28.09.2015), silver36 (28.09.2015), Zhuzhik (28.09.2015), Бодя (29.09.2015), Иванович 1962 (28.09.2015), Пух (28.09.2015), Роман 37 (29.09.2015), СКВ (19.05.2017), Шурави (31.01.2016)
Старий 28.09.2015, 12:23   #57 (permalink)
Клубень
 
Аватар для silver36
 
Псевдо: Андрей
Звідки Ви: Киев
Карапь: сампанклепав 385)))
Дописи: 3.389
Сказал(а) спасибо: 1.110
Поблагодарили 2.327 раз(а) в 945 сообщениях
Типово Re: Эхолоты нового поколения Raymarine Dragonfly™

а какие карты подходят к нему?
silver36 зараз поза форумом   Відповісти з цитуванням
Старий 28.09.2015, 14:45   #58 (permalink)
Активный участник
 
Аватар для pol2901
 
Псевдо: Евгений
Звідки Ви: Кременчуг
Карапь: Динго 330
Дописи: 109
Сказал(а) спасибо: 33
Поблагодарили 216 раз(а) в 37 сообщениях
Типово Re: Эхолоты нового поколения Raymarine Dragonfly™

Цитата:
Допис від silver36 Переглянути допис
а какие карты подходят к нему?

С картографией Navionics обычно совместимы самые топовые модели картплоттеров Raymarine, Humminbird, Lowrance, Northstar, Furuno, Geonav.
pol2901 зараз поза форумом   Відповісти з цитуванням
Старий 29.09.2015, 18:29   #59 (permalink)
Активный участник
 
Аватар для Alexribalka
 
Псевдо: Алексей
Звідки Ви: Каховское водохранилище
Карапь: Дракон/Джонсон 2т 70
Дописи: 3.877
Сказал(а) спасибо: 2.275
Поблагодарили 2.965 раз(а) в 731 сообщениях
Типово Re: Эхолоты нового поколения Raymarine Dragonfly™

Цитата:
Допис від pol2901 Переглянути допис
Как и обещал, скрины с эхолота.

Так проникся новым для меня брендом, что решил уже брать.
Но честно говоря, если говорить про последние скрины (так понимаю, что это выходы сома) , то Хюммиберд пиранья мах 240 рисует еще четче.
__________________
your freedom- your choice!
Alexribalka зараз поза форумом   Відповісти з цитуванням
Старий 02.10.2015, 23:14   #60 (permalink)
Клубень
 
Псевдо: Константин
Звідки Ви: Херсон
Карапь: Сарепта, Yamaha F 60, ПМЛ Азовчанка Yamaha F 9.9
Дописи: 6.058
Сказал(а) спасибо: 4.329
Поблагодарили 3.465 раз(а) в 942 сообщениях
Типово Re: Эхолоты нового поколения Raymarine Dragonfly™

Цитата:
Допис від 4umebli Переглянути допис
У меня четверка, но подключил по wi-fi к планшету

А какая именно у вас модель? Тоже хочу четвёрку, но с вайфишем. Но эта функция есть не у всех четвёрок.
Konstantin 69 зараз поза форумом   Відповісти з цитуванням
ВідповідьПереход на главную страницу


Тут присутні: 1 (учасників - 0 , гостей - 1)
 

Ваші права у розділі
Ви не можете створювати теми
Ви не можете писати дописи
Ви не можете долучати файли
Ви не можете редагувати дописи

BB-код є Увімк.
Усмішки Увімк.
[IMG] код Увімк.
HTML код Вимк.
Trackbacks are Увімк.
Pingbacks are Увімк.
Refbacks are Увімк.


Схожі теми
Тема Автор Розділ Відповідей Останній допис
Эхолоты Raymarine Dragonfly и карты к ним, Киев sergey-fox Архив 10 28.12.2015 08:23
Как настроить Эхолот Raymarine Dragonfly 5 про AQVA1975 Эхолоты 5 18.10.2015 07:43
Raymarine Dragonfly 4 Pro, прошивка Vit@min Эхолоты 1 23.04.2015 21:35
Продам эхолот Raymarine Dragonfly Sergey777 Архив 9 27.12.2013 11:27


Часовий пояс GMT +3. Поточний час: 11:28.


vBulletin 3.8.7 ; Copyright © 2000-2026 Jelsoft Enterprises Limited
Переклад: © Віталій Стопчанський, 2004-2010

Search Engine Optimization by vBSEO 3.6.0